الإعصار ميليسا يجتاح منطقة البحر الكاريبي ويتجه نحو برمودا
10-30-2025 07:19 مساءً
0
0
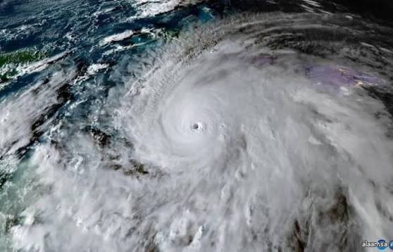
اجتاح الإعصار ميليسا شمال البحر الكاريبي وشوهد وهو يزداد سرعة خلال اندفاعه عبر المحيط المفتوح باتجاه برمودا اليوم ، مخلفا وراءه رياحا عاتية وأضرارا في جامايكا وكوبا وهايتي.
وتحصّن الناس بملاذات في أنحاء جزر البهاما، وكذلك في تركس وكايكوس القريبتين، بينما مرت العاصفة مصحوبة برياح قوية وأمطار غزيرة.
وعلى بعد نحو 970 كيلومترا شمال شرقي أحدث موقع للعاصفة، يتأهب سكان برمودا لاقترابها المتوقع بحلول المساء.
وأكدت السلطات في المنطقة أن العاصفة أودت بحياة 25 شخصا في هايتي، منهم 10 أطفال، وأربعة في جامايكا.
ووفقا للمركز الوطني الأمريكي للأعاصير، كان الإعصار ميليسا مصحوبا برياح بلغت سرعتها 165 كيلومتر في الساعة تقريبا بحلول الساعة 1200 بتوقيت جرينتش، وجرى خفض تصنيفه إلى إعصار من الدرجة الثانية.
وذكر المركز الذي يتخذ من ولاية فلوريدا مقرا له أن من المتوقع أن يواصل الإعصار تسارعه بالاتجاه الشمالي الشرقي "ويمر إلى الشمال الغربي من برمودا" في وقت لاحق اليوم قبل أن يضعف على الأرجح غدا الجمعة.
وقال وزير الأمن القومي مايكل ويكس في بيان إنه تقرر إغلاق جسر برمودا الليلة وجميع المدارس غدا، كما سيتم غدا وقف حركة السفن من بين إجراءات أخرى "بدافع الحذر الشديد".
رويترز
وتحصّن الناس بملاذات في أنحاء جزر البهاما، وكذلك في تركس وكايكوس القريبتين، بينما مرت العاصفة مصحوبة برياح قوية وأمطار غزيرة.
وعلى بعد نحو 970 كيلومترا شمال شرقي أحدث موقع للعاصفة، يتأهب سكان برمودا لاقترابها المتوقع بحلول المساء.
وأكدت السلطات في المنطقة أن العاصفة أودت بحياة 25 شخصا في هايتي، منهم 10 أطفال، وأربعة في جامايكا.
ووفقا للمركز الوطني الأمريكي للأعاصير، كان الإعصار ميليسا مصحوبا برياح بلغت سرعتها 165 كيلومتر في الساعة تقريبا بحلول الساعة 1200 بتوقيت جرينتش، وجرى خفض تصنيفه إلى إعصار من الدرجة الثانية.
وذكر المركز الذي يتخذ من ولاية فلوريدا مقرا له أن من المتوقع أن يواصل الإعصار تسارعه بالاتجاه الشمالي الشرقي "ويمر إلى الشمال الغربي من برمودا" في وقت لاحق اليوم قبل أن يضعف على الأرجح غدا الجمعة.
وقال وزير الأمن القومي مايكل ويكس في بيان إنه تقرر إغلاق جسر برمودا الليلة وجميع المدارس غدا، كما سيتم غدا وقف حركة السفن من بين إجراءات أخرى "بدافع الحذر الشديد".
رويترز